f
title
แขวงทางหลวงระยอง
Rayong Highway District
วิสัยทัศน์ : "ซ่อม บำรุงรักษาทางหลวงพัฒนาทางหลวงแผ่นดิน ในพื้นที่จังหวัดระยอง เพื่อให้ประชาชนผู้ใช้เส้นทาง ได้รับความสะดวก รวดเร็ว และปลอดภัยในการเดินทาง"
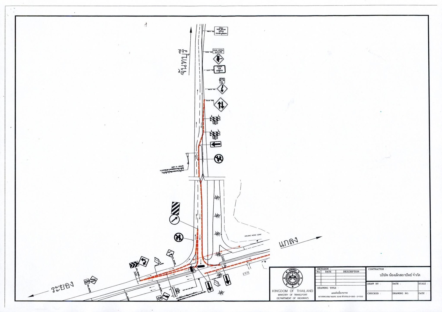
เบื่ยงการจราจรในทางหลวงหมายเลข 3 และทางหลวงหมายเลข 3648 ทางเลี่ยงเมืองแกลง
ลงวันที่ 10/06/2568

ประกาศทำการเบี่ยงการจราจรในทางหลวงหมายเลข 3 ช่วงระหว่าง กม.264+300.000 - กม.265+300.000 ด้านขวาทาง เป็นระยะทางประมาณ 1 กิโลเมตร และในทางหลวงหมายเลข 3648 ทางเลี่ยงเมืองแกลง

ช่วงระหว่าง กม.0+000.000 - กม.0+750.000 เป็นระยะทางประมาณ 750 เมตร เพื่อดำเนินการก่อสร้างเสาเข็มเจาะของสะพานต่างระดับข้ามแยกวังหว้า PIER 1-7

ตั้งแต่วันที่ 20 มิถุนายน 2568 เป็นต้นไป เมื่อดำเนินการก่อสร้างแล้วเสร็จจะทำการเปิดการจราจรตามรูปแบบเดิม


'